Over deze collectie
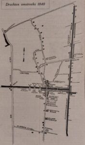
Plattegronden van Drachten geven een uniek inzicht in de ontwikkeling van de stad door de tijd heen. Ze tonen de veranderingen in het landschap, de infrastructuur en de groei van de stad, van het dorpse Drachten in de 19e eeuw tot het moderne stedelijke gebied van vandaag. Historische plattegronden, zoals kaarten uit de 19e en 20e eeuw, bieden waardevolle informatie over de uitbreiding van wijken, de aanleg van wegen en de transformatie van de stad.